Haïku-ped up
[ Traduire ]rainy summer
sweltering and humid
loosing myself in books
See the index of this series of articles / Voir l’index de cette série d’articles
“L’oeuvre incontournable d’un narrateur hors pair. L’auteur de Monster, Pluto, et Asadora! vous entraîne dans le quotidien ordinaire d’une judoka extraordinaire !”
“Depuis toute petite, Yawara Inokuma a été entraînée par son grand-père Jigorô Inokuma, un champion de judo, qui voit en elle une future star de la discipline. Il a été annoncé que les JO de Barcelone accueilleraient enfin la discipline féminine dans la compétition. Jigorô rêve donc de faire de sa petite-fille la première championne olympique féminine de judo. Mais contrairement aux attentes de son aïeul, la jeune fille ne rêve que de mode, d’amour, d’idol… Bref, elle n’aspire qu’à une vie d’adolescente ordinaire, loin des entraînements et des compétitions. Mais c’est sans compter son talent inné pour le judo, que son entourage ne lui permettra pas d’oublier…!”
[Texte du site de l’éditeur; voir aussi la couverture arrière]
(Attention, lire l’avertissement de possible divulgacheurs)
Yawara! (やわら!) est une oeuvre de jeunesse de l’excellent mangaka Naoki Urusawa. Elle a originalement été publié entre avril 1987 et octobre 1993 dans l’hebdomadaire seinen Big Comic Spirits, puis compilé en vingt-neuf volumes (tankōbon) chez Shōgakukan. En 1998-99, il y a eut une réédition en format plus petit (bunkoban) de dix-neuf volumes, puis une “collector edition” (Kanzenban) de vingt volumes en 2013-15. C’est cette dernière édition qui est présentement publiée en français chez Big Kana. Il y a treize volumes de paru jusqu’à maintenant. J’ai déjà commenté le premier, le second, le troisième, le quatrième, le cinquième, le sixième, les septième et huitième ainsi que le neuvième volumes.
Yawara réussi à vaincre cinq adversaire l’un à la suite de l’autre permettant ainsi à l’Université de Mitsuba de remporter la coupe Hortensia. Kojiro accepte d’entrainer Sayaka. Jigorô manigance encore, cette fois pour faire entrer Yawara et Fujiko à l’Université de Sakai après le championnat national par catégorie. Le tout avec l’idée de les faire participer au championnat du monde en Yougoslavie et puis aux Jeux Olympique de Barcelone. Pourtant Yawara, qui termine son cycle court à l’Université de Mitsuba, voudrait plutôt se trouver un petit emploi tranquille dans une agence de voyage… Malheureusement, ni les plan de Jigorô, ni ceux de Yawara, ne se dérouleront comme prévu…
Le style de Urasawa, à la fois simple et expressif, réussi à très bien rendre les scènes d’action sportive qui composent la majeure partie de ce volume. Passé maître dans l’art de la narration, il réussi également à construire un récit captivant en y intégrant de nombreux imbroglio humoristique qui font de Yawara! une comédie romantique de sport incontournable. C’est un lecture agréable et amusante que je recommande fortement malgré que l’intrigue des compétions sportives ou des mésaventures des personnages commence à être un peu répétitive alors que nous ne sommes qu’au milieu de la série. Malgré tout, nous en redemandons encore et je suis sûr que Urasawa nous offrira quelques rebondissements novateurs dans les prochains volumes !
Yawara t. 10, par Naoki Urasawa. Bruxelles: Kana (Coll. Big Kana), novembre 2022. 322 pages, B&W (14 pages en “couleurs”), 14.8 x 21 cm, 15.00 € / $C 26.95, ISBN 978-2-5050-8656-7, Pour un lectorat adolescent (12+).
Vous trouverez plus d’information sur les sites suivants:
[ Amazon • Goodreads • Google • Nelligan • Wikipedia • WorldCat ]
Lire aussi mes commentaire sur les volumes précédents.
© 2014 Naoki Urasawa / Studio Nuts. All right reserved. © Kana (Dargaud-Lombard) 2022 pour l’édition française.
[ Translate ][ iPhone 13 Pro / Outdoor Nest Cam, Domus, 2023/07/23 10:28:32 ]
[ iPhone 13 Pro, Parc Frédéric-Back, 2023/07/23 ]
“In a ruined and toxic future, a community exists in a giant silo underground, hundreds of stories deep. There, men and women live in a society full of regulations they believe are meant to protect them. Sheriff Holston, who has unwaveringly upheld the silo’s rules for years, unexpectedly breaks the greatest taboo of all: He asks to go outside.
His fateful decision unleashes a drastic series of events. An unlikely candidate is appointed to replace him: Juliette, a mechanic with no training in law, whose special knack is fixing machines. Now Juliette is about to be entrusted with fixing her silo, and she will soon learn just how badly her world is broken. The silo is about to confront what its history has only hinted about and its inhabitants have never dared to whisper. Uprising.”
[Text from the inside flap ; see also the backcover]
>> Please, read the warning for possible spoilers <<
I had just finished watching the excellent (
) science fiction TV series Silo from Apple TV+ (rated 8.1 on IMDb and 87% / 89% on Rotten Tomatoes; see the trailer on Youtube and check Wikipedia for more information) and I wanted more ! I really cannot resist a thrilling post-apocalyptic story. Of course, when I discovered that the series was based on a book by Hugh Howey, I quickly reserved it at the library. The series tells the story only of the first half of the book. I wanted to know how the story ended and I wasn’t disappointed (although that’s not really the end since this book, Wool, is part of a trilogy with Shift and Dust). In fact, if it is set in a post-apocalyptic world, the story is more a thriller. And like all book’s adaptation there are HUGE differences in the story-telling (the sex of some characters have been changed, their motivation is sometime not the same and some events unfold quite differently) but over all the general idea is the same.
A community of about ten thousands humans lives in a self-sufficient closed environment, a silo made of over one hundred levels, protecting them from the toxic outside. Nobody knows for how long they have been there, nor what happened to make the surface of the Earth uninhabitable and toxic. In order to insure that they survive until the outside is liveable, this society is governed by a very strict set of rules called the “Pact”. If you ask too many questions or simply go crazy and desperately want to go outside, well, you are given a protective suit and shown the door. Despite the suit, most won’t survive the toxic environment more than a few meters… You are also given a piece of cloth (a wool) and asked to clean the sensor camera that monitors the outside. Hence the title of the novel (but it might also be a reference to the expression “pull the wool over someone’s eyes”, i.e. to deceive, which would make us wonder what kind of deception is in play…).
Somehow, since I saw the TV series first, I like it better than the book. The TV series offers a stronger love story and a more catchy thriller (and that’s totally normal since a TV series needs to put emphasis on those aspects to be successful) but the book is nevertheless a very good reading that offers more character development, a more detailed and complex mystery (secrets hiding secrets!) as well as the answer to the cliff hanger of the first season of the TV series. I really enjoyed both. Even if you have no intention to ever watch the TV series, it remains a very good book.
I can’t wait to learn what other mysteries Juliet will discovers in the other two novels. And, of course, I am also quite eager to watch the second season of the TV series (probably next summer) and see how the mystery unfolds in the adaptation. Apparently there is also a graphic novel adaptation and I’ll try to find that one too. Hugh Howey has created with Wool / Silo a very fascinating world and I just can’t resist to learn more about it.
Wool Omnibus #1, by Hugh Howey. New York: Simon & Schuster, March 2013. 514 pages, 14 x 21 cm, $US 26.00 / $29.99 Can, ISBN 978-1-4767-3511-5. For a teenager readership (14+). See the trailer on Youtbe.
For more information you can check the following websites:
[ Amazon • Goodreads • Google • Nelligan • Wikipedia • WorldCat ]
© 2012 Hugh Howey.
[ Traduire ]See the index of this series of articles / Voir l’index de cette série d’articles
See the index of this series of articles / Voir l’index de cette série d’articles
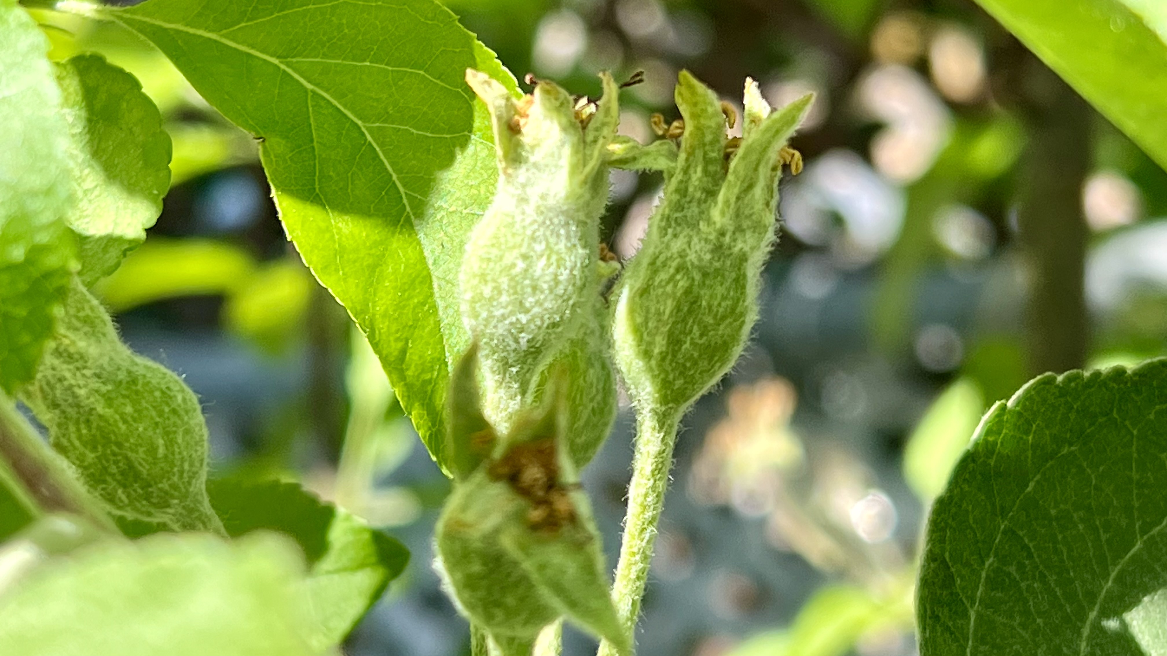
[ iPhone 13 Pro / Nikon D3300, Jardin botanique, 2023/06/30 ]
La pontédérie à feuilles en cœur (appelée pickerelweed en anglais) est une espèce de plante appartenant à la division des Magnoliopsida (ou Angiospermae, i.e. les plantes à fleurs), à la classe des Liliopsida (ou Monocotyledonae, i.e. à un seul cotylédon), à l’ordre des Liliales (selon Cronquist ou Commelinales selon APG IV où elle comprend cinq familles regroupant près de neuf cent espèces), à la famille des Pontederiaceae (comprenant environ sept genres regroupant une trentaine d’espèces selon Cronquist ou deux genres comprenant une quarantaine d’espèces selon APG IV) et au genre Pontederia (qui inclut vingt-cinq espèces). Le nom scientifique rend hommage au botaniste italien Giulio Pontedera alors que l’épithète spécifique signifie simplement “coeur” en latin.
Cette plante vivace herbacée aquatique originaire des Amériques est caractérisée par une masse de racines fibreuses dotés de rhizomes qui permettent une colonisation rapide par multiplication végétative, une tige grasse qui peut atteindre de quatre-vingt à cent centimètres de hauteur, de grandes feuilles cireuses lancéolées et en forme de coeur qui peuvent mesurer jusqu’à douze centimètres de large par vint-cinq centimètres de long, et un grand épis floral bleu-violet qui fleurit en été.
C’est une plante émergente tristyle que l’on retrouve en zone humide et qui est comestible. Les jeunes pétioles peuvent être consommés crus ou cuits et les graines peuvent être moulues. Elle est particulièrement appréciée par une espèce d’abeille, la Dufourea novaeangliae de la famille des Halictes, et par les oiseaux aquatiques (Anseriformes). Elle est souvent utilisée comme filtres biologiques efficaces pour dépolluer les zones humides et on la cultive comme plante ornementale de bassin. Elle est toutefois considérée comme invasive dans certains États américains. (Sources: Wikipedia et divers sites horticoles)
[ Translate ]
“XVIIIe siècle, quelque part en Angleterre… Edgar et Marybelle, enfants illégitimes d’un aristocrate, sont abandonnés au fond des bois… Ils sont alors recueillis par Hannah l’Ancienne, matriarche du mystérieux clan des Poe. Mais quelques années plus tard, le garçon découvre accidentellement le terrible secret de sa famille d’adoption : tous sont des vampanella, des êtres immortels se nourrissant de sang humain. Et pour protéger sa sœur, il doit devenir l’un des leurs… Suivez à travers différentes époques le destin tortueux d’Edgar, vampanella prisonnier d’une existence sans fin.”
[Texte du site de l’éditeur et de la couverture arrière]
(Attention, lire l’avertissement de possible divulgacheurs)
Le clan des Poe (ポーの一族 / Poe no Ichizoku) est un manga shōjo et josei par Moto Hagio qui a d’abord été prépublié en feuilletons entre mars 1972 et juin 1976 dans le périodique Bessatsu Shōjo Comic (Betsucomi) avant d’être compilé en cinq volumes (Tankōbon) chez Shôgakukan entre 1974 et 1976. Il a par la suite été édité en trois volumes (bunkoban) en 1998, puis en deux volumes (premium) en 2019. C’est cette dernière édition, publiée à l’occasion du 50e anniversaire de carrière de l’auteur et qui offre une restoration complète des planches, qui a été traduite en anglais chez Fantagraphics (août 2019 et septembre 2022), puis en français chez Akata au printemps 2023. Moto Hagio est membre du célèbre groupe de l’An 24 et a grandement contribué au développement du manga shōjo moderne. J’ai déjà commenté plusieurs de ses ouvrages (en anglais: A Drunken dreams and other stories et Otherworld Barbara) mais j’ai particulièrement discuté de son rôle de pionnière dans mon commentaire sur Le coeur de Thomas.
Le clan des Poe est le premier manga de Moto Hagio et sans doute l’un de ses plus grands succès au Japon (elle reçoit d’ailleurs le prix Shōgakukan en 1975 pour ce titre). Il s’agit en quelque sorte d’une romance gothique au sein d’une famille de vampire. Edgar et sa soeur Marybell sont les enfants du comte d’Evans mais leur belle-mère les déteste et demande à la nourrisse de les tuer. Toutefois, celle-ci les prend en pitié et les abandonne simplement dans les bois. Ils sont recueilli par Hannah Poe, la matriarche d’une mystérieuse famille de nobles qui se révèle composée de vampires ! Ils doivent souvent déménager quand les villageois commencent à se douter de leur identité supernaturelle. Edgar est très attaché à sa jeune soeur et est traumatisé lorsque celle-ci est assassiné par un fanatique. Éternel prisonnier dans son corps d’enfant, il se sent seul. Il prends donc la fuite avec Allan, un jeune villageois qu’il trouve attirant et qu’il transforme en vampire contre sa volonté. Au travers de leur escapade et de leur relation tumultueuse, ils vivront plusieurs aventures.
On retrouve déjà dans cet ouvrage les innovations stylistiques qui caractérisent le style graphique de Moto Hagio et qui ont fait sa renommé. Le récit est composé de seize courts chapitres (neuf dans ce premier volume) qui sont vaguement connectés et qui se déroulent à des époques et en des lieux différents. Malheureusement ils sont présenté dans un ordre non chronologique ce qui rends la compréhension difficile pour le lecteur. Cela demeure toutefois un classique du genre shōjo, qui nous offre un très beau manga avec un récit intriguant qui mérite d’être lu. Je le recommande donc fortement même si l’aspect anecdotique du récit m’a un peu déçu.
Ce premier volume comprends neuf récits: “Le Clan des Poe” (ポーの一族 / Poe no ichizoku, 127 pages, sérialisé dans les numéro de septembre à décembre 1972 de la revue Bessatsu Shōjo Comic), “La Jeune Fille aux cheveux d’argent” (すきとおった銀の髪 / Sukitōtta gin no kami, 16 pages, mars 1972), “Le Village de Poe” (ポーの村 / Poe no mura, 24 pages, juillet 1972), “Le Journal de Glensmith” (グレンスミスの日記 / Glensmith no nikki, 24 pages, août 1972), “Marybelle et la rose d’argent” (メリーベルと銀のばら / Marybelle to gin no bara, 162 pages, de janvier à mars 1973), “Penny Rain” (ペニー・レイン, 40 pages, mai 1975), “Liddell dans la forêt” (リデル・森の中 / Liddell, mori no naka, 16 pages, juin 1975), “Les Fleurs et les oiseaux du pays lointain” (はるかな国の花や小鳥 / Harukana kuni no hana ya kotori, 33 pages, dans Shūkan Shōjo Comic de septembre 1975), et “Une semaine” (一週間 / Isshūkan, 16 pages, dans Bessatsu Shōjo Comic de décembre 1975). On retrouve également une préface de Fausto Fasulo, une postface de Miyako Slocombe et une galerie d’illustrations. J’ai bien hâte de lire la suite avec le deuxième volume annoncé pour la fin octobre 2023.
Depuis 2016, Moto Hagio a donné une suite à ce récit avec quatre volumes supplémentaires qui ont été prépubliés dans le magazine Monthly Flowers: Haru no Yume (ポーの一族~春の夢 / Le clan des Poe ~ Rêve de printemps, publié de juillet 2016 à juillet 2017), Poe no Ichizoku: Unicorn (ポーの一族 ユニコーン, publié de juillet 2018 à juin 2019), Himitsu no Hanazono (ポーの一族 秘密の花園 / Le jardin secret du clan des Poe, publié de juillet 2019 à novembre 2021) et Ao no Pandora (青のパンドラ / Pandore bleue, publié depuis juillet 2022). Nous ignorons pour l’instant si ces titres seront également traduit.
Le clan des Poe t.1, par Moto Hagio (traduit par Miyako Slocombe). Rancon: Akata (Coll. Héritages), avril 2023, 14.7 x 21 cm, 19.99 € / $37.95, ISBN 978-2-36974-821-4. Pour un lectorat adolescent (14+).
Vous trouverez plus d’information sur les sites suivants:
[ Amazon • Goodreads • Google • Nelligan • Wikipedia • WorldCat ]
© 2019 Moto HAGIO.
[ Translate ][ iPhone 13 Pro, Parc Frédéric-Back, 2023/06/05 ]
Un chat classic tabby (blotched) avec blanc et une chatte calico dans le parc. Il existe une variété étonnante de robes de chat… Ici ce sont sans doute des chats domestiques (et non errants) qui profitent d’un après-midi tranquille dans la verdure, probablement un mâle et une femelle.
[ Translate ]See the index of this series of articles / Voir l’index de cette série d’articles
[ iPhone 13 Pro, Jardin botanique, 2023/06/30 ]
L’Épilobe en épi (aussi appelé Laurier de Saint-Antoine ou, en anglais, fireweed (U.S.) ou même bombweed (U.K.) et ヤナギラン [柳蘭 / Yanagiran / litéralement “herbe/orchidée de saule”] — on la connait également sous le synonyme de Chamaenerion angustifolium) est une espèce de plante appartenant à la division des Angiospermae (les plantes à fleurs), à la classe des Dicotyledonae (ou Eudicotidae, qui ont deux cotylédons), à la sous-classe des Rosidae, au super-ordre des Malvideae (ou Rosanae dans la APG III), à l’ordre des Myrtales, à la famille des Onagraceae, et au genre Epilobium (ou Chamerion / Chamaenerion). Le nom scientifique provient du grec (soit επί / epi / “sur” et λόβιον / lobion / “petite cosse” i.e. sur une petite gousse, soit χαμαί / chamai / “bas, près du sol” et νήριον / nerion / Laurier-rose i.e. laurier nain). L’épithète spécifique latin (augustus + folium) signifit simplement “à feuilles étroites”. Le nom vernaculaire anglais ferait référence au fait que l’épilobe est parmi les premières plantes à germer après un indendie, un bombardement ou autres perturbations du sol.
C’est une plante herbacée vivace caractérisée par une tige érigée de cinquante à deux-cent-cinquante centimètres de haut, où sont disposées en spirale des feuilles alternes éparses, étroitement lancéolées et à nervures pennées, et où culmine une inflorescence formée par un racème terminal symétrique qui fleurit progressivement de bas en haut (de juin à septembre), produisant une forme gracieusement effilée. Les fleurs d’un rose-pourpre vif, de deux à trois centimètres de diamètre, sont composées de quatre sépales étroits et de quatre pétales disposés en croix et légèrement asymétriques, ainsi que de huit étamines tombantes et d’un pistil saillant formé de quatre stigmates qui s’étalent aussi en croix. Le fruit est une capsule linéaire rouge-brun remplie de trois à quatre cent petites graines dotées de poils soyeux permettant une dispersion par anémochorie. La plante s’étend également par ses racines rampantes.
C’est une plante mellifère appréciée par une grande variété d’insectes pollinisateurs. Sans être véritablement comestible elle peut être consommée comme aliment de substitution en cas de disettes: rhizomes bouillis, jeunes pousses et feuillage tendre cru ou blanchie. En phytothérapie elle peut être utilisée en tisanes ou en décoction pour traiter une variété de maux comme les migraines, troubles du sommeil, troubles gastriques et la constipation ou même favoriser la cicatrisation. Elle est une source de vitamines A et C, et elle est riche en fer, cuivre, potassium et calcium. C’est aussi une intéressante plante ornementale. (Sources: Wikipedia et divers sites horticoles)
[ Translate ]Je continue mon perpétuel rattrapage sur les magazines et autres ‘zines pertinents dans mon champs d’intérêt… Pour vous éviter le soucis de courir après l’information, j’en épluche donc le contenu pour vous. C’est plein de bonnes suggestions de lectures…
Ce numéro nous offre des dossiers sur Rintarô, le seigneur de l’anime (portrait, entretien, Utopiales, entretien avec Frédéric Temps [Programmateur ciné aux Utopiales] et retour sur les six oeuvres majeures de Rintarô: Captain Harlock [1978], Adieu Galaxy Express [1979, 1981], Harmagedon [1983], L’Épée de Kamui [1985], Métropolis [2001] et Yona, la légende de l’oiseau-sans-aile [2009]), Makoto Shinkai (Suzume, portrait, proximité à distance, réalisme magique) et Angoulême 2023 (Entretien avec Junji Itô, exposition Junji Itô, Paroles de Ryôishi Ikegami, Rencontre avec Akane Torikai et commentaires sur le festival).
Dans “On a Vu” on nous présente plusieurs animations notoires: Romantic Killer, Raven of the Inner Palace, Jojo’s Bizarre Adventure: Stone Ocean saison finale, Spy x Family part 2, La voie du tablier saison 2, Mobile Suit Gundam: The Witch from Mercury saison 1, Avalonia: L’étrange voyage, Maurice le chat fabuleux, The Bad Batch saison 2, Pinocchio de Guillermo del Toro, Le Chat Potté 2: la dernière quête, Moi quand je me transforme en Slime le film: Scarlet Bond.
Dans “On a Lu” on nous introduit à quelques bons mangas comme Paraiso (Suehiro Maruo chez Casterman), Hitomoji: Stress Mortel (Motoro Mase chez Crunchyroll), Du mouvement de la Terre (Uoto chez Ki-oon), Mibu Gishi Den (Jiro Asada & Takumi Nagayasu chez Mangetsu), Ikkyu (Hisashi Sakaguchi chez Revival), Gourmet Détective (Akiko Higashimura chez Delcourt/Tonkam), Amour Placebo (Akane Torikai chez Akata), Excuse me dentist: it’s touching me! (Sho Yamazaki chez Soleil), Let’s Play (webtoon par Leanne M. Krecic chez Kotoon), Terukan Boys (Yû Nakahara chez Doki-Doki), Isekai Anime Studio (Kakuchoshi chez Doki-Doki), Kujo l’implacable (Shôhei Manabe chez Kana), Gannibal (Masaaki Ninomiya chez Meian), Le Ciel pour conquête (Yudori chez Delcourt).
Le numéro se conclut sur une série de chroniques: Musique (Au coeur de la tournée de Joe Hisaishi, AniSong: le feu d’artifice musical de l’année), Entretiens (Masaaki Ninomiya, Yasuhiro Yoshiura, Shinya Ohira, Yudori), Figure de Pro (Sylvain Dos Santos), Séance Studio (Ghibli), Trouvaille (The Three-body Problem), Exposition (Versailles no Bara), Hommage (Leiji Matsumoto, Claudio Biern Boyd), et Humeur (2023, l’année Miyazaki?).
À lire pour tous fans d’anime. ![]()

Dans le cahier actualités on mentionne la publication en coffret cartonné de Dans la tête de Sherlock Holme, L’Affaire du ticket scandaleux t.1 & t.2 chez Ankama. On retrouve également un article sur les conférences données par Benoit Peeters au Collège de France dans le cadre de la chaire de Création artistique consacré à la bande dessinée. Un autre article nous présente le prix Töpffer 2022 de la bande dessinée.
À la une de ce numéro on retrouve une entrevue avec Jean-Pierre Gibrat au sujet de Mattéo – Sixième époque (2 septembre 1939 – 3 juin 1940) chez Futuropolis. Les entrevues se poursuivent avec Jean-Claude Servais (sur Bellem aux Éditions Dupuis), Xavier Dorison & Timothée Montaigne (sur 1629, ou l’effrayante histoire des naufragés du Jakarta. L’Apothicaire du diable, T.1 chez Glénat), Arthur de Pins (sur Zobillénium T.6 chez Dupuis), Tibur Oger (sur Indians chez Grand Angle), Marion Fayolle (sur La maison nue chez Magnani), et Franck Thilliez (sur La brigade des cauchemars T.6: Ariane chez Jungle).
Comme spécial de fin d’année, dBD nous présente ses coups de coeur de beaux livres composés d’entrevues avec François Schuiten (sur L’Archiviste, avec Benoit Peeters, chez Casterman), Ralph Meyer (sur Undertaker, l’art de Ralph Meyer chez Dargaud), Arnaud Le Gouëfflec & Dominique Bertail (sur l’intégrale de Mondo Reverso chez Fluide Glacial), Léonie Bischoff (sur Anaïs Nin sur la mer des mensonges chez Casterman), ainsi que Gwen de Bonneval & Hervé Tanquerelle (sur l’intégrale de Racontars arctiques, d’après Jørn Riel, chez Sarbacane).
Dans le Cahier Critique je note surtout Le coeur et le devoir t.1 par Himawari Nishino & Tanaka chez Doki-Doki (Bien; “évite la plupart des errances du shojo (…) sans être un chef d’oeuvre, ce récit se révèle captivant”), Fool Night t.3 par Kasumi Yasuda chez Glénat (Super; “graphisme élégant et fin (…) parvient à faire mouche, alors même que l’idée de départ semblait un peu bancale. Une excellente surprise”), Adabana t.3 par Non chez Kana (Super; “excellent thriller”), Critique de la raison pure par Emmanuel Kant & Variety Artworks chez Soleil Manga (Super; “synthétise en 192 pages les écrits du maître (…) un Kant pour les nuls”).
Finalement, avec “Le Territoire des Mangas”, on nous présente sur deux pages les nouveautés du genre: Histoire courtes (Junji Ito chez Delcourt/Tonkam), MMA: Mixed Martial Artists t.1 (Hiroki Endô chez Pika), The Far East Incident t.1 (Aguri Ohue chez Vega), La petite amie de Minami (Sungiku Uchida chez IMHO), Les Saisons d’Ohgishima t.1 (Kan Takahama chez Glénat), Happy Land (Shingo Honda chez Omaké), The Chilling Dead t.1 (Shuji Takeya chez Nobi Nobi), et Tokyo Aliens t.1 (Osaka Naoe chez Kana).
Un numéro double (130 pages) qui offre une lecture indispensable pour se tenir au courant des nouveautés en BD. ![]()

Dans le cahier actualités on mentionne la parution de Paraiso, un recueil de cinq histoires courtes par Suehiro Maruo chez Casterman ainsi que la réédition de deux autres titres du même auteur, L’Enfer en bouteille et L’Île panorama. Je remarque également la parution d’une compilation Hägar Dünor 1977-1978 par Dik Browne chez Urban Comics (246 pages!). On retrouve également un article de quatre pages sur la 50e édition du Festival International de la bande dessinée d’Angoulême.
À la une de ce numéro on retrouve une entrevue avec Arnaud Nebbache sur Brancusi contre États-Unis chez Dargaud. Les entrevues se poursuivent avec Robin Recht (sur Thorgal Saga T.1: Adieu Aaricia chez Le Lombard), Irène Frachon & Éric Giacometti (sur Mediator, un crime chimiquement pur chez Delcourt), Yann Damezin (sur Majnoun et Leïli, chants d’outre-tombe chez La Boîte à Bulles), Hérald Hajar (chef décorateur sur l’adaptation au cinéma par Yann Samuell de la BD de Régis Hautière et Hardoc, La Guerre des Lulus chez Casterman), Florian Pigé & Étienne Gerin (sur Speedball chez Sarbacane), Pierre Maurel (sur Michel T.5 chez L’Employé du Moi et L’Arme à Gauche chez Glénat), ainsi que Max de Radiguès & Hugo Piette (sur Eddie & Noé T.1: Plus chaud que le climat ! chez Sarbacane).
Finalement, avec “Le Territoire des Mangas”, on nous présente sur deux pages les nouveautés du genre: Sakura Wars (Ikku Masa & Ohki Hiroi chez Mana Books), Death Note: Original Soundtrack vol. 1 (Hideki Taiuchi & Yoshihisa Hirano chez Kana Music), Gourmet Détective T.1 (Akiko Higashimura chez Delcourt), Raspoutine Le Patriote (Takashi Nagasaki, Masaru Satô & Junji Ito chez Delcourt), Terukan Boys (Yû Nakahara chez Doki Doki), Le chat noir (Hideshi Hino chez IMHO), Blame 0 Deluxe (Tsutomu Nihei chez Glénat) et Elle (QTa Minami d’après Delphine de Vigan chez Pika).
Une lecture indispensable pour se tenir au courant des nouveautés en BD. ![]()

J’avais lu que ce “revival” trimestriel de Métal Hurlant était une compilation de près de trois-cent pages de BDs et d’articles “Vintage” des bonnes années du magazine qui a profondément marqué la BD française. Et bien, j’étais dans l’erreur car le magazine publie également des numéros de “Création” qui regroupent autour d’un thème contemporain des histoires courtes par des auteurs et artistes internationaux. Le magazine alterne les numéros “Vintage” et de “Création” à raison de quatre numéros par année. J’espérais re-lire des chef-d’oeuvre de BD des années ’70 et ’80 mais le numéro que j’ai choisi au hasard à cause de sa belle couverture de Bilal s’est révélé en fait être un numéro de “Création” — toutefois je ne le regrette pas car ce fut une très bonne lecture tout à fait à la hauteur du magazine culte (voir mythique) original. Je vais définitivement en lire d’autres numéros…
Je ne rentrerai pas trop dans les détails mais ce numéro regroupe vingt-trois histoires courtes inédites et sept articles sur le thème du Métavers, du virtuel et des émotions synthétiques. Il parait que nous vivrions dans une simulation ce qui nous offre une large panoplie de possibilités d’histoires plutôt Dickiennes. J’ai parcouru les articles un peu en diagonale mais par contre j’ai lu avidement les BDs. Les styles très variés étaient rarement de mon goût mais les récits étaient pas mal tous très bons. Définitivement à lire.
On y retrouve donc Bionumérique (une histoire de Otto Maddox avec des illustrations plutôt weird par une A.I.), Alters (Mark Waid & Jean-Michel Ponzio), Aquarium (Léo Quiévreux), Black Box (Nikola Pisarev), Les lois de la physique (Matthew Sheean), Univers Expansé (Richard Guérineau), Êtes-vous sûre de vouloir me quitter (Lisa Blumen), La douche éternelle (Lewis Trondheim), Fractales (Laurent Siefer), Download (Arnaud Le Gouëfflec & Krzysztof Novak), La faille (Thierry Martin), La fleur d’Olène (Aurélie Crop), Longue vie au métayers libre! (Otto Maddox & Tim Bos), Game changer (Lane Milburn), Le nouveau (Antoine Dodé), Sofia (Edo Brenes), Méta-métempsychose (Cantsin), Soldats de lumière (Simon Roy), Tsubame (Facundo Nehuén Lopez), Teddy (Yann Bécu & Sagar), La dernière refugiée (Tim Adam & Alexis Vitrebert) et Luv (Jim Bishop & Seera).
Une belle découverte. ![]()
Pour plus d’Infos: [ Goodreads • Humanos ]

Solaris nous offre une fenêtre sur la littérature de genre (dites de l’imaginaire, spéculative ou “paralittérature”) au Québec et parfois d’ailleurs. Celle-ci s’ouvre à nous en trois volets: le volet fiction comprend quelques nouvelles qui nous offrent l’occasion de se divertir tout en échantillonnant ses différentes saveurs actuelles. Le volet documentaire nous offre des articles pour découvrir et mieux comprendre ses différents aspects. Finalement, le volet critique se divise en deux parties: “Les littéranautes” qui commentent les parutions locales et les “Lectures” qui commentent les parutions hors-Québec.
Dans le volet fiction ce numéro nous offre quatre courts récits:
Le volet documentaire offre un autre épisode captivant des “Carnets du Futurible” par Mario Tessier, qui s’intéresse cette fois aux “Cités miniatures ou le monde comme oeuvre d’art”. Le Futurible retrace pour nous l’histoire de ce désir de recréer le monde en miniatures, de l’idée de la maquette aux LEGOs, et l’influence que cela a eut sur le cinéma et la littérature. ![]()
Pour finir, le volet critique nous offre seize pages de commentaires couvrant seize titres (pour la liste des titres commentés voir la table des matières en ligne).
Solaris, qui se veut “l’Anthologie Permanente des Littératures de l’Imaginaire”, nous offre comme toujours un numéro très riche qui demeure un incontournable pour tout amateur de genre. ![]()

[ iPhone 13 Pro, Parc Frédéric-Back, 2023/05/28 ]